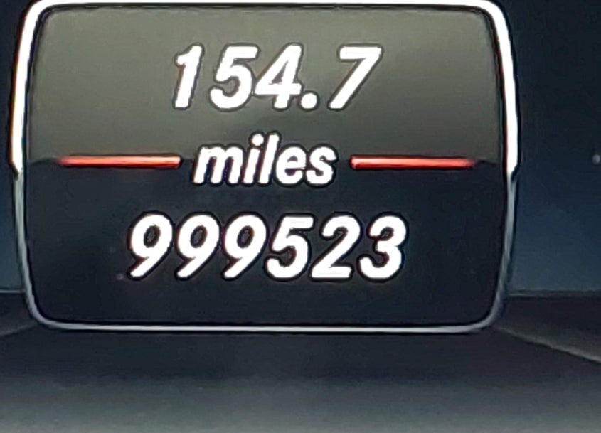
最近看到的令人震撼的一台车,跑了100万英里(160万公里)的CLS63,发动机罩上的logo都跑掉了,看这贴的改色膜和副厂轮毂,应该好多任车主了,太疯狂了,不知道烧了多少油。
说实话,刚出的时候,大家都在质疑M157的可靠性,但10多年过去了,M157的可靠性真挺好的,我的那台也是,各种小毛病不断,但唯独发动机从未出现问题。





最近看到的令人震撼的一台车,跑了100万英里(160万公里)的CLS63,发动机罩上的logo都跑掉了,看这贴的改色膜和副厂轮毂,应该好多任车主了,太疯狂了,不知道烧了多少油。
说实话,刚出的时候,大家都在质疑M157的可靠性,但10多年过去了,M157的可靠性真挺好的,我的那台也是,各种小毛病不断,但唯独发动机从未出现问题。




